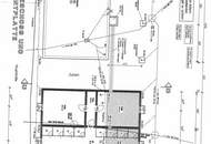
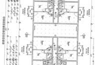
Zinshaus mit 16 Apartments mit 16 Stellplätze, Nähe Flughafen Wien
2325 Himberg






































892 m²€ 2.081.000
Objektinformation
Kosten
Kaufpreis€ 2.081.000
Provision
3% des Kaufpreises zzgl. 20% USt.
Vertragsart
, Kauf
Nutzfläche
892 m2
Grundstück
1.016 m2
Bauart
Neubau: 2009
Energie
HWB74,4 kWh/m²
HWB-KlasseB
fGEE1,36
fGEE-KlasseB
Energieausweis bis2030-07-27
Beschreibung
_Im Falle der Notwendigkeit einer Fremdfinanzierung Ihrer Wunschimmobilie ermittelt unser Wohnbau-Finanzierungsexperte gerne die optimale Finanzierungslösung und findet das passende Zins- und Konditionsangebot für Sie. Er vergleicht die aktuellen Angebote aller relevanten Banken und Bausparkassen. Der Angebotsvergleich kann aus einem Portfolio von über 120 Banken erfolgen. Das Erstgespräch ist für Sie kostenfrei und unverbindlich, gerne auch bei Ihnen vor Ort. So sparen Sie Ihre wertvolle Zeit und erhalten eine professionelle und unabhängige Finanzierungslösung vom Spezialisten. Sprechen Sie u..
Mehr
Auswahl ändern
Anbieter

Anbieter
Aleksandar Mihajlovic
IM Lifestyle Properties GmbHTelefon
+43 660 6...

Anbieter kontaktieren