Vielseitige, provisionsfreie Geschäftsfläche – ab Juli bezugsbereit
9360 Friesach







1 Räume€ 612,00
Objektinformation
Kosten
Gesamtbelastung (brutto)€ 612,00
Kautionshinweis
3 BMM
Vertragsart
, Miete , unbefristet
Nutzfläche
keine Angabe
Energie
HWB73,7 kWh/m²
HWB-KlasseC
fGEE1,66
fGEE-KlasseC
Beschreibung
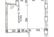
Dieses gepflegte Geschäftslokal im Erdgeschoss bietet auf einer Gesamtfläche von ca. 74,1 m² großzügigen Raum für Ihre gewerblichen Vorstellungen. Der weitläufige Hauptraum lässt sich flexibel nutzen und eignet sich für verschiedenste Geschäftskonzepte – ob Einzelhandel, Dienstleistungsbetrieb oder Büronutzung.
Für praktischen Komfort sorgen ein separater Abstellraum sowie ein Gäste-WC. Der Fliesenbelag unterstreicht den gepflegten Gesamteindruck und ist gleichzeitig besonders robust und pflegeleicht – ideal für den täglichen Gewerbebetrieb.
Die Beheizung erfolgt komfortabel über..
Für praktischen Komfort sorgen ein separater Abstellraum sowie ein Gäste-WC. Der Fliesenbelag unterstreicht den gepflegten Gesamteindruck und ist gleichzeitig besonders robust und pflegeleicht – ideal für den täglichen Gewerbebetrieb.
Die Beheizung erfolgt komfortabel über..
Mehr
Lage
Zentrale Lage im Herzen von Friesach – nur wenige Schritte vom Hauptplatz entfernt. Gute Sichtbarkeit, laufende Frequenz sowie zahlreiche Geschäfte und Gastronomiebetriebe in unmittelbarer Umgebung schaffen ideale Voraussetzungen für einen erfolgreichen Unternehmensstandort.
Zusatzinformationen
Die Miete setzt sich wie folgt zusammen:
Miete Netto EUR 370,00 + 10% USt. = EUR 444,00
Betriebskosten Netto EUR 140,00 + 10% USt. = EUR 168,00
Gesamtmiete Brutto inkl. USt. = 612,00 EUR
Der guten Ordnung halber weisen wir darauf hin und halten fest, dass wir für den Auftraggeber (Vermieter) tätig werden. Ein Maklervertrag mit dem wohnungssuchenden Mieter kommt nicht zustande, weswegen der Mieter auch bei erfolgreicher Vermittlungstätigkeit nicht zur Zahlung einer Provision verpflichtet ist.
Irrtümer und Änderungen vorbehalten!
Alle hier veröffentlichen Informationen basieren auf den uns von dem Abgeber/ der Abgeberin zur Verfügung gestellten Informationen und wurden nicht selbst erhoben.
Um sensible Unterlagen des aktuellen Mieters zu schützen, wurden die Fotos im Inserat digital bearbeitet.
Bitte beachten Sie, dass wir aufgrund der Nachweispflicht gegenüber dem Abgeber/ der Abgeberin nur Anfragen mit vollständiger Angabe des Namens, der Anschrift und der Telefonnummer bearbeiten können.
Weiters besteht ein wirtschaftliches Naheverhältnis mit dem Abgeber/der Abgeberin!
Auswahl ändern
Anbieter

Anbieter
Matteo Gruber
Donnerbauer Immobilien GmbHTelefon
+43 4232...

Anbieter kontaktieren